Бесплатно Кременчугское ВДХР Пронозовка,Мозолиевка,Васькивка

Тема в разделе 'Рыбалка в Полтавской области', создана пользователем Валер, 14 янв 2008.

  1. Korotia

    Korotia Специалист по хищнику...

    Сообщения:
    1.042
    Симпатии:
    8.015
    Адрес:
    г.Кременчуг-Молодежный
    Возраст:
    50
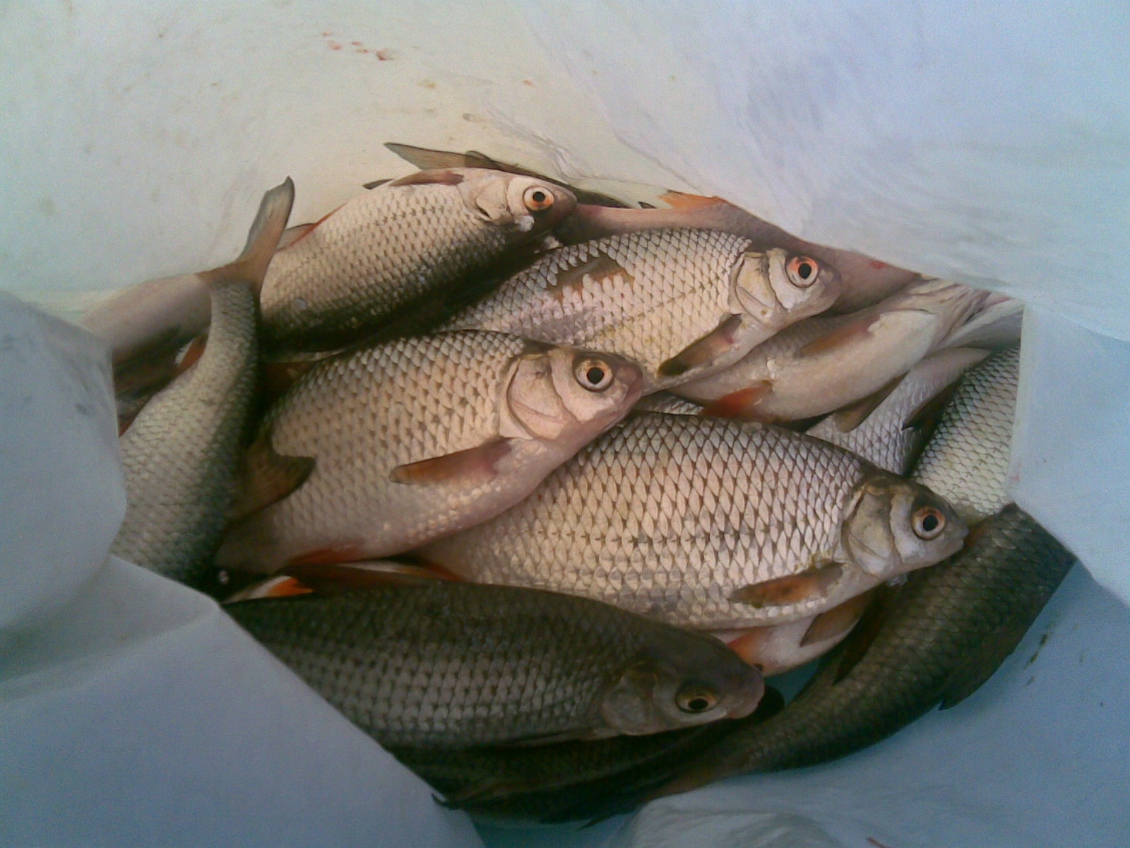
    Всем привет.Вчера снова Мозалиевка.Были на тех местах где и прошлый раз.С утра вродебы начала отзыватся,поймал десяток небольших таранок и тишина.Сидели на 6-ти метрах.Воду недавали целый день и рыба отказывалась брать,поклевки были очень редкие,рыба мелкая.Потом после обеда перешли немного вправо,там было на метр поглубже и рыбка понемногу начала ловится.В итоге поймали по 3-4 кг.Погодка была отличная,чувствуется весна.Всем удачи.
     

    Вложения:

    • DSC02302.JPG
      DSC02302.JPG
      Размер файла:
      458,8 КБ
      Просмотров:
      478
    • DSC02320.JPG
      DSC02320.JPG
      Размер файла:
      658,4 КБ
      Просмотров:
      389
    • DSC02323.JPG
      DSC02323.JPG
      Размер файла:
      453,5 КБ
      Просмотров:
      403
    • DSC02321.JPG
      DSC02321.JPG
      Размер файла:
      589,3 КБ
      Просмотров:
      407
    • DSC02312.JPG
      DSC02312.JPG
      Размер файла:
      530,6 КБ
      Просмотров:
      427
    • DSC02317.JPG
      DSC02317.JPG
      Размер файла:
      762,6 КБ
      Просмотров:
      421
    • Нравится Нравится x 22

  2. Sergei Carpov

    Sergei Carpov Форумчанин 80 уровня

    Сообщения:
    850
    Симпатии:
    10.076
    Адрес:
    Santa Clara-California USA
    Возраст:
    62
    Да...весна не особо чувствуется,как писал Олег выше...Сегодня Мозолиевка,встреча 4 форумчан состоялась+наши друзья,очень неплохая компания!!!Выдвинулись в море аж на 1ч.20мин.интенсива не было,с утра поклевало немного и все...Хоть ищи хоть свищи,рыбка отказывалаь клевать,забегу вперед,и так по всему водохранилищу и прилежащие к нему территории.С утреца поклевало даже на опарыш,потом так стало глухо,что впечетление такое,что ловишь в ванной!!!Совместный обед с 50 гр.за рыбалку,тоже не помог,как не извращались.У меня 2.100 выловленной плотвы до 12.00,так ждали вечерний клев...а он так и не пришел.Учитывая рыбацкую погоду,а это ветер и снег,рыбка сегодня не порадовала особо.Ждем следующей рыбалки.
     

    Вложения:

    • 06032010.JPG
      06032010.JPG
      Размер файла:
      887,8 КБ
      Просмотров:
      400
    • 06032010(001).JPG
      06032010(001).JPG
      Размер файла:
      847,2 КБ
      Просмотров:
      414
    • 06032010(002).JPG
      06032010(002).JPG
      Размер файла:
      918 КБ
      Просмотров:
      416
    • Нравится Нравится x 21
  3. motorator

    motorator Рыболов

    Сообщения:
    234
    Симпатии:
    1.580
    Адрес:
    Кременчуг
    Возраст:
    43
    Даааааа......!Прав Серега вечерний клев так и не наступил как мы его не ждали ,сидели до 18-45, он так и не пришел :)Уловы сегодняшние ограничивались 2 кг макс. да и то только профи типа Карпова и Короти,лично у меня аж 2 шт :)Непомогли нам сегодня ни эхолот ни навигатор,рыба брать не хотит(делаю вывод(ИМХО) рыба стоит полводы(по эхолоту) и впала в транс).Из примечательных событий отмечу сегодня выезд смельчаков на Ниве на лед в 6,5 км от берега(притом что есть сведения что сегодня один рыбак умудрился найти промоину и провалиться в нее) и конечно наш путь на берег в кромешной тьме где мой навигатор и Олега комПас (или наши затурканые безклевьем головы) заставили нас сделать хороший гак и ыходить на берег со стороны Пронозовки :) :) :)Отаке.......
     
    • Нравится Нравится x 15
  4. Xal

    Xal гость Временно заблокирован

    Вчера. Пронозовка. Минут 30 ходьбы от берега на левый угол Вороньковского о-ва. Течение было уже с начала рыбалки (около 9,30). Довольно сильный северный ветер и снег, пришлось залазить в палатку. Часов до 11 клева не было совершенно, хотя эхолот показывал рыбу стоящую чуть выше от дна. Потом потихоньку то у одного, то у другого начало проклевывать. Таранька не крупная, ладошечного и чуть больше размера. Клевала у всех по-разному - и на тесто, и на легкое, и на "бутерброды" с мотылем, на крючки и на мормышки. Пару-тройку подходов минут по 20 у некоторых было активного клева. И так продлилось где-то до 14.30, потом ситуация ухудшилась и просидев до 16.30 начали потихоньку собираться. Итог - никто без улова не остался, но и особо никто не отличился (т.к. никто до "нормы" не дотянул). Думаю сказалось повышение давления в течение дня (примерно на 7-8 мм.рт.ст). Фото не делал, т.к. показывать нечего (особенно у меня:стыдно:). Всем удачи.
     
    • Нравится Нравится x 22
  5. Korotia

    Korotia Специалист по хищнику...

    Сообщения:
    1.042
    Симпатии:
    8.015
    Адрес:
    г.Кременчуг-Молодежный
    Возраст:
    50
    Всем привет.Запоздалый отчет о рыбалке 6.03.2010.так как мой комп вышел из строя.Встреча получилась отличная но рыбка ловилась неочень.С утра немного поклевала и все. За полтора часа поймал около трех килограм.Пытались найти рыбку с помощью эхолота-рыбу показывал практически везде но вполводы.Ждали вечернего клева до 18-45 но так и не дождались.Выходить пришлось по темному.Вот такая получилась рыбалка.
     

    Вложения:

    • DSC02327.JPG
      DSC02327.JPG
      Размер файла:
      393,8 КБ
      Просмотров:
      542
    • DSC02328.JPG
      DSC02328.JPG
      Размер файла:
      368,2 КБ
      Просмотров:
      503
    • DSC02329.JPG
      DSC02329.JPG
      Размер файла:
      599,8 КБ
      Просмотров:
      530
    • DSC02330.JPG
      DSC02330.JPG
      Размер файла:
      259 КБ
      Просмотров:
      481
    • DSC02331.JPG
      DSC02331.JPG
      Размер файла:
      383,5 КБ
      Просмотров:
      545
    • DSC02332.JPG
      DSC02332.JPG
      Размер файла:
      389,8 КБ
      Просмотров:
      498
    • Нравится Нравится x 24
  6. Sergei Carpov

    Sergei Carpov Форумчанин 80 уровня

    Сообщения:
    850
    Симпатии:
    10.076
    Адрес:
    Santa Clara-California USA
    Возраст:
    62
    Опять же за Черкаский завод "азот удобрения".Если меня не поймут,то не очень хорошо наверно отписал,а может и не в ту тему.Так вот,когда написал 28 февраля за этот отчет по травке рыбы,был очень интересный разговор с кумом через 3 дня.Кум любитель попить воды с лунки,ну по приколу ему сделать пару глотков с чистой,подчеркиваю,прозрачной лунки,попить воды,а это зимой казалось бы действительно чистой воды...Когда я рыбачил выше,кум ловил в Недогарках,и попил водицы с лунки в обед где-то.И что вы думаете????После этого,извиняюсь,пронесло!!!После рыбалки просидел в заветном месте весь вечер!!!Все время было ничего,где бы не пил а тут..Делаем выводы.Извиняюсь,что не в тему но факт или совпадение..
     
    • Нравится Нравится x 15
  7. Mangust

    Mangust Рыболов

    Сообщения:
    4
    Симпатии:
    5
    Адрес:
    Киев
    Возраст:
    Всем привет. Как там лед ? К выходным достоит. На прошлых выходных был в Мозоливке. Плоховато за сутки кил шесть. Ночью вообще даже тычка не было. Если смысл ехать 26 марта в Мозолиевку? Кто -то на эти выходные собирается?

    ты поаккуратней с килами в будущих отчетах, а то мигом заработаешь ...
     
    • Нравится Нравится x 3
  8. tigroff

    tigroff Рыболов

    Сообщения:
    45
    Симпатии:
    650
    Адрес:
    Кременчуг
    Может немного не в тему. Проезжал вчера Липовое, лед стал с обеих сторон трассы, толщину не знаю, но два мужичка недалеко от берега (сторожа наверное) рыбачили на льду. В Кагамлыке тоже замерзло, толщина неизвестна, на льду никого не было.
     
    • Нравится Нравится x 11
  9. Korotia

    Korotia Специалист по хищнику...

    Сообщения:
    1.042
    Симпатии:
    8.015
    Адрес:
    г.Кременчуг-Молодежный
    Возраст:
    50
    Всем привет!!!Ну что господа присяжные? ЛЕД ТРОНУЛСЯ!!!Сегодня прозвонил по своим знакомым рыбакам в надежде что-нибудь узнать о Мозалиевке.Оказывается сегодня уже там рыбачят и довольно успешно.Лед до 15см это уже неплохо,правда недалеко от берега,минут 15 на старом льду,а дальше идет новый но туда не рискуют вылазить.Тараночка средняя,с ладошку и больше,клюет весело.Эх хочится на тарань порыбачить!!!Завтра едит две моих компании,а я не успеваю так как с работы завтра в 8-30 прийду.Может завтра кто то в это время ехать будет,позвоните мне пожалуйста сегодня если место будет.0987609321(ОЛЕГ)
     
    • Нравится Нравится x 8
  10. Xal

    Xal гость Временно заблокирован

    Олег, пасиб за инфо. Действительно только что звонили в Светловодск - льда ноль, в Недогарки сегодня знакомый ездил, тоже не фонтан - шуга возле берега. Говорят лед встал, а потом ветер был - разбило. Если поедем и будет место - маякну, сам узнаю только ближе к 21-00.
     
    • Нравится Нравится x 3