Бесплатно Риболовля на околицях м.Дніпро

Тема в разделе 'Рыбалка в Днепропетровской области', создана пользователем Шурикднепр, 16 мар 2008.

  1. Старый бродяга

    Старый бродяга Рыболов

    Сообщения:
    1.376
    Симпатии:
    1.627
    Адрес:
    Днепр, Васильковка, заграница
    Возраст:
    72
    Сегодня пошел рано, еще не было 4-х, и зря.
    До 6 ничего не ловилось.
    От 6 и до 7-ми поймал 4 штучки, хорошего подлещика, пару карасиков и мелкий подлещик был амнистирован.
    Подлещик ловился на червя, карась на бутерброд червя с кук чеснок.
    Как всегда в 8 завязал.
    Посудинка 32 см в длину, по диагонали не измерял.
     

    Вложения:

    • DSC_4225.JPG
      DSC_4225.JPG
      Размер файла:
      417,8 КБ
      Просмотров:
      542
    • Нравится Нравится x 21

  2. КАРАТ

    КАРАТ Рыболов

    Сообщения:
    1.164
    Симпатии:
    3.764
    Адрес:
    Днепропетровск
    Скрытая информация:
    Эта информация скрыта. Прочесть ее могут пользователи имеющие от 5 сообщений на форуме.
     
    • Нравится Нравится x 17
    • Не нравится Не нравится x 1
  3. nostalji

    nostalji Рыболов

    Сообщения:
    19
    Симпатии:
    23
    Адрес:
    Днепропетровск
    Возраст:
    65
    В субботу ловил в районе Старых Кодак, ловил на пружины, плотва клевала постоянно, карася почти не было, на опарыш клюнул килограммовый судак, внук помог его вытащить подсакой. Использовал гороховую кашу с пшеном- плюс прикормка флагман про компетейшн плотва. Ловил с берега- рыбаки на лодках почему то курили бамбук. Насадка-опарыш, пенопласт, пенотесто, кукуруза....
     
    • Информативно Информативно x 6
    • Нравится Нравится x 1
  4. Maksi83

    Maksi83 Рыболов

    Сообщения:
    74
    Симпатии:
    863
    Возраст:
    41
    Лето уходит и сидеть бояться жары не вижу смысла. 02.30 выезд. в 4.00 на воде. пока хищник отсиживается перед осенью - ловим мирную. с ней намного успешнее.
    В этот раз решил не варить каши, а использовал магазинные прикормки + добавки+сетка хлеб макуха сухари.
    с 4.20 до 7 утра без единой поклёвки. и в 7 утра пробило. час клёва, но караси просто зачётные. штук 5 плотвиц. и один.... ))) первый в жизни пойманный мною карп. Небольшой. но порадовал сопротивлением на фоне метающихся из стороны в сторону карасей.
    течения не было. вода цветёт, гниёт и воняет. но выезд оправдал ожидания. в 8.50 уже свернулся. находится на улице невозможно.
     
    • Нравится Нравится x 9
  5. saidkos

    saidkos Рыболов

    Сообщения:
    51
    Симпатии:
    520
    Адрес:
    Днепропетровск
    Был в среду возле Южного моста . Поймал 5 карасей , много - больше десятка сходов в траве . Карась брал резво , но при вываживании почти не сопротивлялся .Был с 5 до 11 . Жара еле досидел. Хотя можно было и в 9 сварачиваться т.к. позже поклевок не было . Всем НХНЧ !
     

    Вложения:

    • Нравится Нравится x 5
  6. Рыбак с ДРСУ

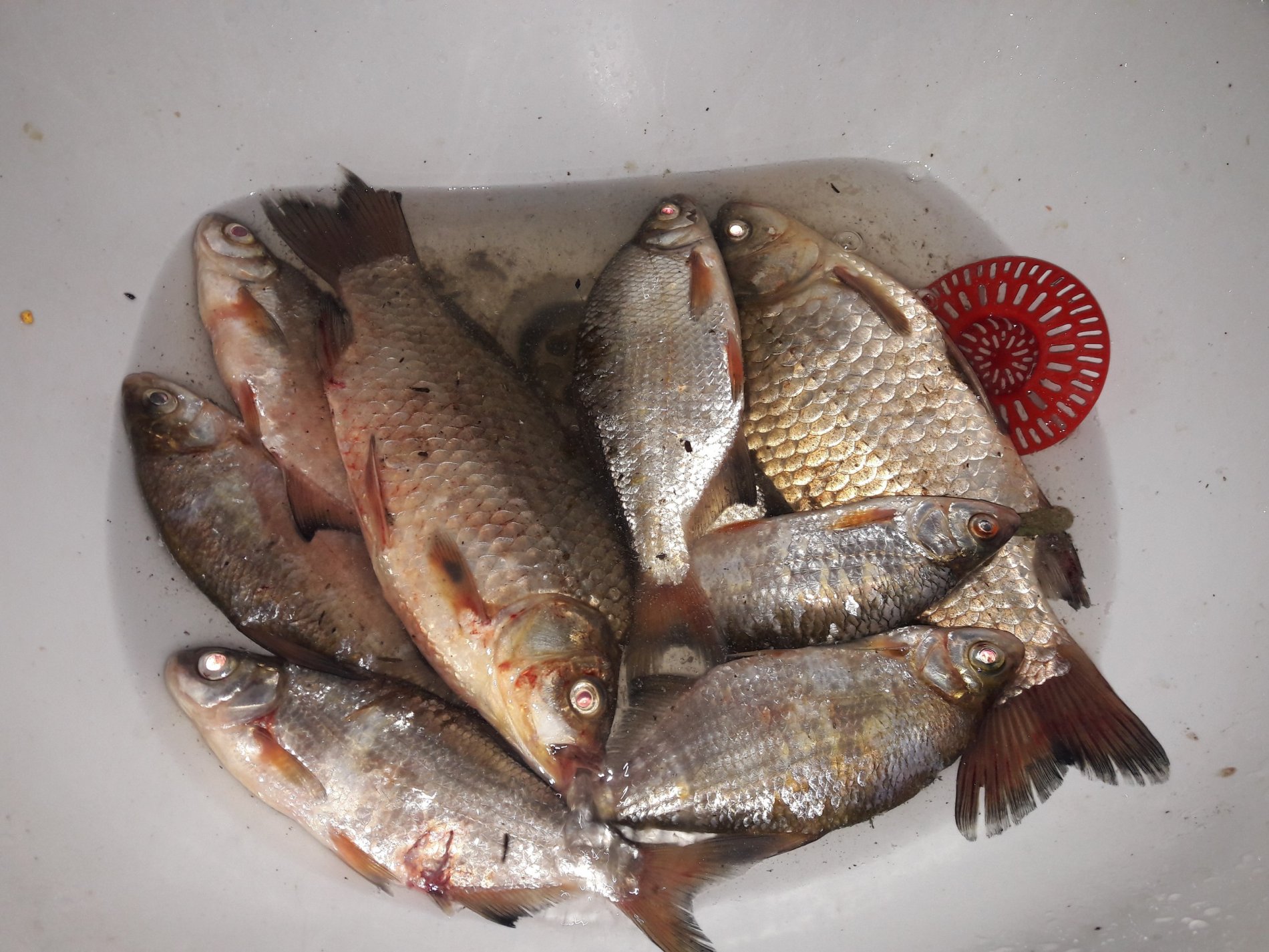
    Рыбак с ДРСУ Рыболов

    Сообщения:
    1
    Симпатии:
    7
    Возраст:
    33
    Суббота 05.08.17 20.30 снасти в воде. Рыбачил на р.Днепр в районе 20-й больницы, тупик 48-й маршрутки. Ловил на пружины. Поклевки редкие и неуверенные. Течение было.Рыба брала на крупное ванильное пенотесто с подсадкой 1-го опарыша. Итог до пол второго на фото.
     

    Вложения:

    • 3zdY5M9HTSg.jpg
      3zdY5M9HTSg.jpg
      Размер файла:
      414,1 КБ
      Просмотров:
      641
    • Нравится Нравится x 7
  7. saidkos

    saidkos Рыболов

    Сообщения:
    51
    Симпатии:
    520
    Адрес:
    Днепропетровск
    Сегодня , снова Южный мост. С 5.30 до 13.00 . Ветер на воде сильный , даже не ожидал что что-то клюнет . Волна бешеная . Результатом все равно доволен . Клевало все на бутерброд , червь и опарыш. По отдельности не брало . Сомика забрал , не смог себя пересилить и отпустить .
     

    Вложения:

    • Нравится Нравится x 6
  8. Maksi83

    Maksi83 Рыболов

    Сообщения:
    74
    Симпатии:
    863
    Возраст:
    41
    Жара не отступает. И хищник по прежнему спит. Спиннингистам сейчас трудновато. Если мирную можно в принципе спокойно ловить, то с судаками и щуками сейчас уныло. В этом году решил для себя чередовать обе рыбалки и вчера выпала очередь спиннинга. К счастью более менее утих ветер. Ну и в 4.30 как обычно уже на воде. Мобильностью без мотора на своей лодке ограничен, поэтому ловлю на старых местах.
    Ну и с 3 заброса любимой уже фанатиковской ларвы повис вот такой красавец.

    IMG_20170811_053655.jpg

    до 8.00 поймал ещё с десяток неплохих окуней, каких ловлю там обычно каждую рыбалку....

    Вся рыба поймана протяжкой по дну. Никакие проводки оборот, дваоборота, ничего не работает. И агапчик также после протяжки на свал просто зацепился как бревно. Потом, правда оживился и заставил даже воспользоваться фрикционом. Честные 43 см. 1.1 кг.
     
    • Нравится Нравится x 11
    • Информативно Информативно x 4
  9. MamonI

    MamonI Рыболов

    Сообщения:
    61
    Симпатии:
    283
    Адрес:
    Днепр
    Всем привет :hi:. Сегодня Лесопарк (Сухачевка). На воде с 4 00 до 12 00. По приезду удивил низкий уровень воды, сбросили прилично. Целью был если не лещ, то хотя бы более-менее крупные козлы. Ловил фидером с берега. Прикормка флагман голд желтый лещ + голд суприм + пастончино + добавлял пробкой горох в кормушку. Из наживок бутерброд, перловка, пенотесто. Оснастку вначале поставил несимметричную петлю, затем перешел на инлайн с фидергамом. Может совпало, но на инлайн клев активнее пошел. Стартовый закорм сделал еще до рассвета, первую поклевку увидел в 5:30, клюнул как раз неплохой козлик грамм на 400 чем подарил уверенность в правильности выбора прикормки и наживки. Но не тут то было. До 7:00 в холостую купал красного червя и опарышей. С 7 до 11 с периодичностью в 10-15 мин начал клевать карась размером от малька до 500 грамм. У переговаривающихся соседей картина та же, козлики проскакивали в количестве 1-2 шт, крупного леща нет ни у кого. Воду начали давать примерно в 10, течение на столько сильное что с трудом держала кормушка 120 грамм. Завершил рыбалку в 12 поимкой второго козлика. Мелко карась и плотва отпущены подрастать, домой забрал 2 козла и 12 карасиков.
    Всем НХНЧ.
     
    • Нравится Нравится x 12
    • Информативно Информативно x 2
  10. Старый бродяга

    Старый бродяга Рыболов

    Сообщения:
    1.376
    Симпатии:
    1.627
    Адрес:
    Днепр, Васильковка, заграница
    Возраст:
    72
    Сегодня рано утром, после 2 недель отсутствия, снова на набережную.
    Флагмановские прикормки - Некст дженерейшн, Карась+мед, Карась+чеснок, Биг брим, добавка стик горох.
    Ловил один фидер на кормушку и второй фидер на метод.
    Наживка - опарыш белый, червь обычный, куки чеснок и клубника, бутерброды из перечисленного.
    Клевало хреново, по темноте вообще не клевало, с рассветом - 3 плотвички и 4 карася,
    один правда за пол-кило (на метод с Биг брим) уже после 8-ми утра.
    Кидал метод сначала далеко - впустую, потом стал поближе бросать, результат немного улучшился.
    Кормушка легкая 18 гр., поэтому сразу бросалась близко.
    Пока я пытался поймать на фидер, а соседи на пружины, стоящий недалеко мужик вытащил
    с 4 метров на удочку килограммового леща. Еще один сошел у него, долго водил на крючке и не довел до подсака.
    Мы там все прикуели.
    В начале 9-го ушел домой, т.к. моей семье для еды хватит.
    Вот так скромненько.
     
    • Нравится Нравится x 15
    • Информативно Информативно x 1