Бесплатно Риболовля на околицях м. Павлоград

Тема в разделе 'Рыбалка в Днепропетровской области', создана пользователем Тегеран, 5 апр 2009.

  1. Юрий Степаненко

    Юрий Степаненко Рыболов

    Сообщения:
    8
    Симпатии:
    87
    Адрес:
    Павлоград
    03.07.2013 с утра поехал на Волчью с 5:00 до 9:00 ни одного клева, рядом много рыбаков сидят также в пустую. Начало припекать солнышко свернулся и поехал домой. Второй поход с 17:00 до 20:00 был более успешный:
     

    Вложения:

    • SAM_1054.JPG
      SAM_1054.JPG
      Размер файла:
      398,7 КБ
      Просмотров:
      424
    • Нравится Нравится x 16
    • Информативно Информативно x 2

  2. сияз

    сияз Рыболов

    Сообщения:
    350
    Симпатии:
    1.499
    Адрес:
    Павлоград
    :hi:4.07.13г с 5.30 до10.00,р.Волчья с лодки на:poplavok:наживка перловка,кукуруза.После растановки удилищ через минут 15 клев только на кукурузу,но не долго.Потом начала работать перловка(клев умеренный,можно покурить):ura:Кукурузу сбивало,сжирало неизвестно что:злой:,но потом удалось зацепить бубыря(по нашему).Но все-таки 14 карасиков удалось обхитрить:zachet:Начался ветер,сносило поплавки,жара тоже начала доставать,пришлось мотать. Утром чего-то курочки нарезали вокруг,заснял. Фото0207.jpg Фото0208.jpg
     
    • Нравится Нравится x 19
  3. Edelweiss

    Edelweiss гость Временно заблокирован

    Привет земляки. 03.07.13г. первый выезд по щуке, "На Федору", после двух часового полоскания ушёл от ноля двумя хвостами, на силикон, один на равномерную, второй взял на паузе. Поднявшийся ветер выгнал всех на берег, а на "Нагульном" поплавочники всё равно сидели.
     
    • Нравится Нравится x 7
    • Информативно Информативно x 7
  4. cav22121970

    cav22121970 Рыболов

    Сообщения:
    128
    Симпатии:
    1.106
    Адрес:
    Павлоград
    Возраст:
    04.07.13.:hi: Всё по рекам,да по рекам. Сегодня после смены решил первый раз поехать на разливы, напротив ЦОФА, поискать зубастую:predator: . В 9.00 на воде и до 12.30 ни единого тычка , ни единого удара .Перепробывал весь свой арсенал результат полный ноль, зубастая полностью игнорировала мои приманки, зато вёслами намахлся отдуши:rybak2: ! На берегу встретил единомышленника, ему повезло больше, одна зубастая в районе полторушки:wo_kakaya: . Всем как всегда ни хвоста, ни чишуи ! ! ! :solnce2:
     
    • Нравится Нравится x 12
    • Информативно Информативно x 8
    • Улыбнуло Улыбнуло x 1
  5. сияз

    сияз Рыболов

    Сообщения:
    350
    Симпатии:
    1.499
    Адрес:
    Павлоград
    :hi:05.07.13г. р.Волчья с лодки на:poplavok:нажива перловка,кукуруза.В 5.20 уже снасти заброшены и вот он-жор!!!Не успевал на четыре удки ставить указанную наживку:фигасе:До 6.30,не смотря на такой клев,поймал всего 3 карася:в_натуре::стыдно:.И хорошая мысля приходит о посля!Сматываю удочки,оставляю одну и .....поехали,один за другим карась влетал в садок:ura:В итоге до 9.30 выхватил 23шт. карасей одной палкой!!!:в_натуре:.Хочу сказать,что вода начала зацветать,несет всякую гадость.Как люди купаются,удивляюсь!!!??? Фото0209.jpg Фото0210.jpg
     
    • Нравится Нравится x 18
  6. сияз

    сияз Рыболов

    Сообщения:
    350
    Симпатии:
    1.499
    Адрес:
    Павлоград
    :hi:Сегодня,р.Волчья,с лодки:poplavok:на перловку с 5.00 до 9.00 -18шт.Жарко дольше рыбачить с лодки:злой:Фотка рыбы с водой!Сегодня карась крупней,надо брать подсак! Фото0211.jpg
     
    • Нравится Нравится x 16
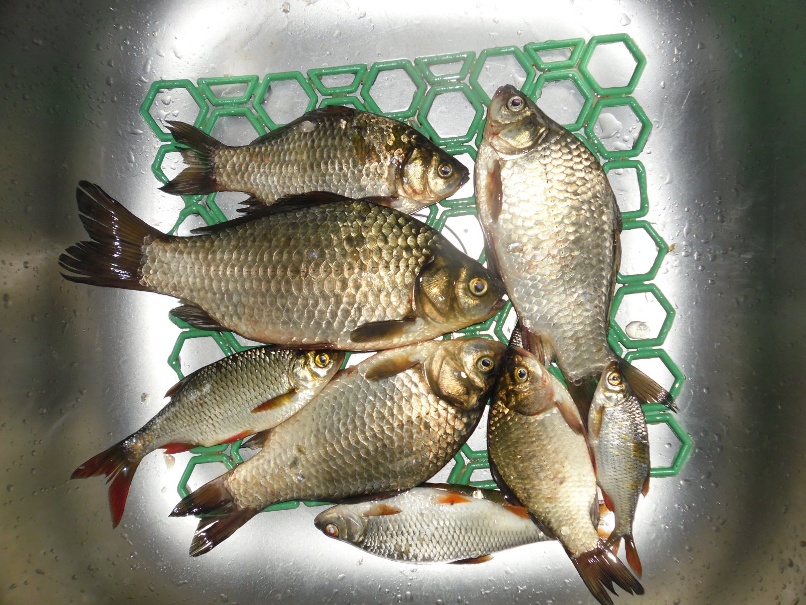
  7. сияз

    сияз Рыболов

    Сообщения:
    350
    Симпатии:
    1.499
    Адрес:
    Павлоград
    :hi:08.07.13г. с 5.00 до 9.00 на р.Волчья с лодки :poplavok:наживка перловка. До шести клева как такового-не было!Иногда издевалась мелюзга оббиванием наживки,за что одна маленькая плотвичка поплатилась.Сделалась она живцом и заброшена на :predator:.Простояла до конца рыбалки без толку,щука спит:(К семи часам карась немного активизировался и в садок попало 10шт:ura:.Потом началась жара и пришлось мотать снасти.Вот такое утро первого дня новолуния!:D Фото0217.jpg
     
    • Нравится Нравится x 19
  8. cav22121970

    cav22121970 Рыболов

    Сообщения:
    128
    Симпатии:
    1.106
    Адрес:
    Павлоград
    Возраст:
    :hi: Отчёт за 08.07. и 09.07. Итак 08.07 газопровод с 16.00 до 19.00 в поискак зубастой :predator: с лодки . Перепробованы всевозможные приманки , результат полный ноль . И погода как говорят её , а нехотела:bm: хотя 07. 07 говорят ловилась неплохо .
    Видел одного соплименника результат тот же. Сегодня 09.07 Самара район Вербского леса . С 5.00 до 9.30 снасти поплавочки:poplavok: , наживка перловка , пшеница . Результат три двухсот грамовых метиза:wo_kakaya: и одна хорошая плотва . У соседей результат ещё хуже . Походу брать нехочет в связи с переменой ветра . Всем как всегда ни хвоста , ни чишуи ! ! !:solnce2:
     
    • Нравится Нравится x 11
    • Информативно Информативно x 4
  9. Edelweiss

    Edelweiss гость Временно заблокирован

    Сегодня не доехал до "Газовой трубы", был первый раз и ловил там, где увидел воду. Короче, как оказалось, был на Кочерге. Вода мутняк белого цвета, мелюзга вся на кислороде, жара сморила окуня заокеанского, пару карандашей к верху пузом плавали. Зубастая хоть и кормилась-резвилась, но не единого удара, а чавканье иногда раздавалось зачётное. В 8:25 положил силикон точно в пасть, чему и рад.
    DSCN49761.jpg
     
    • Нравится Нравится x 8
    • Информативно Информативно x 4
    • Не нравится Не нравится x 1
  10. сияз

    сияз Рыболов

    Сообщения:
    350
    Симпатии:
    1.499
    Адрес:
    Павлоград
    :hi:Отчеты за 10 и 11.07.13г. И так 10-го с 6.00 до 9.00 р.Волчья:poplavok:с лодки,наживка перловка. Камыш уже как бамбук,можно делать удочки(как в детстве).Минут 40 глухо,после начало отзываться.Ну очень мешает мелочь,три перловчины не помеха.Десяток удалось выхватить пока жара разрешила,потом все-невыносимо,домой. На следующее утро решил с 4.30,пока не жарко.:ага:Штиль,вода парит,зато мелочь задолбала.На подносе у карася ничего не остается,ставил и кукурузу,таже история-обжирает:злой:.8шт. до жары взял и 9.30 смотался.А всеравно приятно,особенно когда еще не жарко!!! Фото0218.jpg Фото0219.jpg Фото0220.jpg Фото0221.jpg
     
    • Нравится Нравится x 24
    • Информативно Информативно x 1