Бесплатно р.Днепр, Кременчугский район

Тема в разделе 'Рыбалка в Полтавской области', создана пользователем SCH, 13 апр 2009.

  1. Sergei Carpov

    Sergei Carpov Форумчанин 80 уровня

    Сообщения:
    850
    Симпатии:
    10.076
    Адрес:
    Santa Clara-California USA
    Возраст:
    62
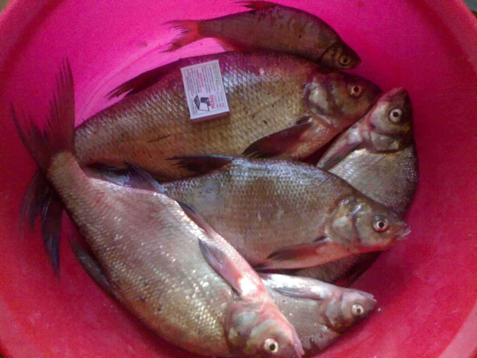
    На старом месте опять,рыбалка с 14,00 до 19,00.Вода шла прилично,клевал карась неплохой и плотва,попадалась даже очень ничего.Кто стоял с утра,а течение сегодня пошло около 7 утра,поймали неплохо, до 7-8 кг.Леща не было,как и везде в принципе,но неплохой карась радовал,ведь речной карась,приготовленный,такой вкусный...Клевало на мостырку,последнее время червей игнорирует рыба,да ина живца сегодня глухо.

    РЫБА КЛЮЕТ ВЧЕРА И ЗАВТРА!!!
     

    Вложения:

    • 13082009.JPG
      13082009.JPG
      Размер файла:
      978,6 КБ
      Просмотров:
      361
    • 13082009(001).JPG
      13082009(001).JPG
      Размер файла:
      1,2 МБ
      Просмотров:
      344
    • Нравится Нравится x 17

  2. Xal

    Xal гость Временно заблокирован

    Отпишусь и я коротенько. Был вчера на старых местах в Келеберде. Посидели пару часиков - выпили по бокальчику прохладненького пенистого напитка, я поймал все на тот же отвод с кормаком - 2 подлящика примерно по 1 кг, и карася - грамм на 250. Был еще один сход. Насладились хорошим вечером на воде и при сумерках собрались и уехали, как оказалось вовремя потому что поднялся ветер, дождь и т.д. Фото не выкладываю - все описал.
    ЗЫ Еще довожу до сведения, что в Келеберде возле церкви пытаются уже собирать по 5 грн за стоянку (типа платная парковка), приходиться ссориться со сборщиками дани.
     
    • Нравится Нравится x 14
  3. D.J.Owl

    D.J.Owl гость Временно заблокирован

    Да-да-да...
    Я тоже был свидетелем подобной процедуры. Ещё недели три-четыре назад. Но что прикольно - я уже приехал с рыбалки, загружался - ко мне тётенька и не думала подойти, а нагленько так приставала к только что подъехавшей машине. При этом "впаривала" и услуги экскурсовода - типа рассказать историю и самого посёлка и историю постройки на этом месте (где по её словам раньше была крепость) храма.
    Насколько я понял, это "инициатива предприимчивого местного населения".
     
    • Нравится Нравится x 6
  4. Sergei Carpov

    Sergei Carpov Форумчанин 80 уровня

    Сообщения:
    850
    Симпатии:
    10.076
    Адрес:
    Santa Clara-California USA
    Возраст:
    62
    Форумчане,здравствуйте!!!Поздравляю всех с праздником,Медовый Спас,всем всего самого,самого.
    Теперь о рыбалке,пока в отпуске,хожу на свои места,что бы дома со скуки не пропасть.Сегодня в 9.00 на месте и был удивлен,на моем месте стоит Виталий "Вутя" и в садке уже плещется рыба.Но с началом течения он ретировался,снасти не позволяли.Брал карась и плотва на мастырку,не очень интенсивно,но ничего.Итог 1 кг. плотвы и 2 кг.карася.Лещ сегодня не подошел,очень сильно шло течение и трава не давала покоя,но об этом отдельный разговор.На фото для коментария,это воробьи воруют с камня мастырку,подсыхала.

    РЫБА КЛЮЕТ ВЧЕРА И ЗАВТРА!!!
     

    Вложения:

    • 14082009.JPG
      14082009.JPG
      Размер файла:
      1,3 МБ
      Просмотров:
      390
    • 14082009(003).JPG
      14082009(003).JPG
      Размер файла:
      1,3 МБ
      Просмотров:
      353
    • Нравится Нравится x 18
  5. Xal

    Xal гость Временно заблокирован

    15.08.09г - Келеберда. В 8.30 лодка спущена на воду, в 9.00.встав на глубине порядка 7 метров начали обустраиваться. Течения не было - поэтому не спеша забросили кормак, донки. Метрах в 50 от нас стоял мужичек на лодке и потихоньку потягивал карасиков размером в ладошку, чуть больше. У нас - 0. В 11 утра воду начали еле-еле в обратном режиме толкать, результат все тот же нулевой. Где-то к 13.00 течение наконец-то пошло в нужную сторону. Не вдаваясь особо в подробности - до 16.00 поймано несколько козликов и три карася грамм по 250 (на фото нет, т.к. были отданы папику в его общий зачет). Клевало на бутерброд - опарыш+мастырка(горох), за совет по которой отдельное спасибо форумчанам, и парочку козликов было поймано на червь+пена. Чего-то с каждой субботой дальше - у меня складывается впечатление, что не рыбный какой-то это день (а может мы такие везучие).
     

    Вложения:

    • Нравится Нравится x 12
  6. Lenda

    Lenda Рыболов

    Сообщения:
    245
    Симпатии:
    1.884
    Адрес:
    Кременчуг
    Возраст:
    59
    Поверь, это не только у тебя. В том году все выезды были "продуктивные" не зависимо от погоды и фаз луны. В этом году, бл...., как кто пошептал. Рыбачу только по субботам и с каждым разом хуже и хуже. В эту субботу был в Чикаловке, результат около 3 кг, нечего фотографировать. Рыбу надо искать, искать новые "непуганные" места типа Мишурин Рог и т.д. Начинаю подумывать переходить на хищника .
     
    • Нравится Нравится x 6
  7. D.J.Owl

    D.J.Owl гость Временно заблокирован

    А Вы думаете в этом направлении всё "светло и радужно"??? :gi-gi:
     
    • Нравится Нравится x 4
  8. KONGER

    KONGER гость Временно заблокирован

    сегодня с 7 00 на генеральских кручах напротив насосной.из наживок был;опарыш,червяк,мастырка,перловка,черный хлеб с атрактантами-в итоге брало только на белую булочку перекрученую на мясорубке с чесноком-ко всему другому даже не притронулось!у нас клевал неплохой карась рядом проскакивала таранка с ладошку!клев закончился в 11 00 вообщем если б не булочка(главное что бы никто здесь не решил что я тут пиарю булочку!) что ато вернулись бы пустыми!карась хороший было два обрыва!вообщем если туда соберетесь то без булочки не обойтись!
     
    • Нравится Нравится x 13
  9. Sergei Carpov

    Sergei Carpov Форумчанин 80 уровня

    Сообщения:
    850
    Симпатии:
    10.076
    Адрес:
    Santa Clara-California USA
    Возраст:
    62
    На том же месте,в тож же час...Здравствуйте!!!Ловил там же где и всегда,хотя хотелось пойти в другое место.В течении всего дня брал карась,любезно между рыбаками называем среднего карася "кабачек".Произошли два события.Во первых сошел лещ,2 метра не дотащил до берега,кто-то из рыбаков крикнул "сорвись"и вот так и произошло.Во вторых пойман на систему судачек на систему,гдето на 700-800гр.,которого жена быстро унесла домой,пропадает быстро хищник.Вот вроде и все,итог почти 4 кг.карася+плотва.Брала исключительно на мастырку,горох+манка,эх разбаловали мы рыбку...

    РЫБА КЛЮЕТ ВЧЕРА И ЗАВТРА!!!
     

    Вложения:

    • 17082009.JPG
      17082009.JPG
      Размер файла:
      1,3 МБ
      Просмотров:
      441
    • 17082009(001).JPG
      17082009(001).JPG
      Размер файла:
      1,1 МБ
      Просмотров:
      442
    • Нравится Нравится x 18
  10. Lenda

    Lenda Рыболов

    Сообщения:
    245
    Симпатии:
    1.884
    Адрес:
    Кременчуг
    Возраст:
    59
    Я не думаю, а знаю. Да не радужно, мы ж с тобой выплывали утром в Келеберде, оба пустые приплыли. Я имел ввиду следующее - отдых это смена занятий. Вот я и хочу поменять занятие. Тем более осень начинается!
     
    • Нравится Нравится x 1